田子 伊豆 ダイビング ツアー

本日は西伊豆 田子に行って参りました
相変わらず素晴らしいエダミドリイシサンゴ

 

田子 伊豆 ダイビング ツアー台風の翌日でしたが、問題なく潜れました
(ほかのポイントは結構悲惨な状況だったみたいですが…)
さすが田子です!

 

湾内 白崎に潜りましたが…

田子 伊豆 ダイビング ツアー クチナシイロウミウシクチナシイロウミウシいました!!

オシリフリフリエビいました~

 

田子 伊豆 ダイビング ツアー

田子 伊豆 ダイビング ツアー

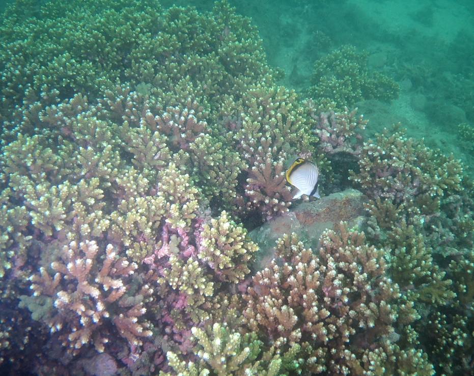
サンゴの群生にはチョウチョウウオも付き始めてましたよ!
上:トゲチョウチョウウオの幼魚
下:フウライチョウチョウウオ

 

田子 伊豆 ダイビング ツアー テーブルサンゴ相変わらずテーブルサンゴは立派でした
伊豆を代表するサンゴです!

もうちょっと南方からの魚たちも増えてくるはず
今回の台風で運ばれて来てるかもしれません
今後が楽しみです

 

久し振りにシーランド看板前で撮影!

田子 伊豆 ダイビング ツアー

ご参加頂いた方々
ありがとうございました!