11月16日2013年
土肥1ボート・1ビーチツアーに行ってきました~
この日土肥の施設25周年謝恩イベントとして普段は潜れないポイントに土日の二日間だけ潜れることに!
今回は「八木沢・丸山沖」へ行ってきました
サービスの車に乗って、港まで移動です
海猿を思い出す水面越しの太陽
綺麗~
潜降ポイントは水深9mでゴロタの上に潜降
そこから30m程移動すると水底は白い綺麗な砂地
さすが普段ダイバーが入ってないので、ソフトコーラルが綺麗です!
施設が豚汁を用意してくれました
暖まる~
天気も良かったので外で食べました
2本目はビーチポイントへ!
ビーチなのにジャイアントストライドエントリー!?(笑)
まずはカエルアンコウ
どこにいるのか分かるかな??
なんと
夏からいるイバラダツ
居心地いいんでしょうね(^_^;)
今年は季節来遊魚の当たり年
水温が低くなり、少し動きが鈍くなってきました
その分、シャッターは切りやすい・・・
ニシキフウライウオ
勿論
沈船も行って来ましたよ~
なんと「アカオビハナダイ」がオスメス共に群れていました!
珍しい・・・
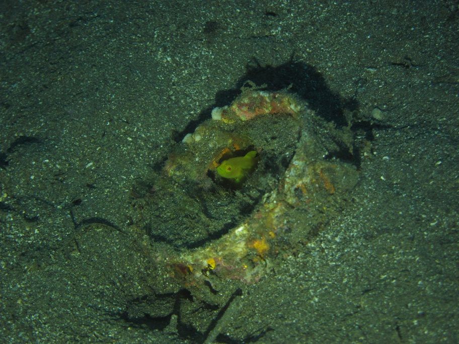
沈船の横には…
「ミジンベニハゼ」
可愛いですね~
ミナミハコフグもいました
目白押しですね!
12月末までが季節来遊魚を見るチャンス期間ですよ!
色々見れました!
エキジットです
ビーチなのに梯子登ります・・・
勿論プールで復習です
鏡を見て中性浮力の練習!
帰りは沼津 千楽
カツハヤシライス
旨し!
ご参加頂いた皆さま
ありがとうございました
<おまけ>
この日、芦ノ湖周辺だけ霧がかかってました!
年間通じてあまり見れない景色です
そして綺麗な富士山































